조황관리HOME / 조황관리 / 상세정보

제목 : 10월4일 외수질 굿 조황
등록일 : 2025-10-04



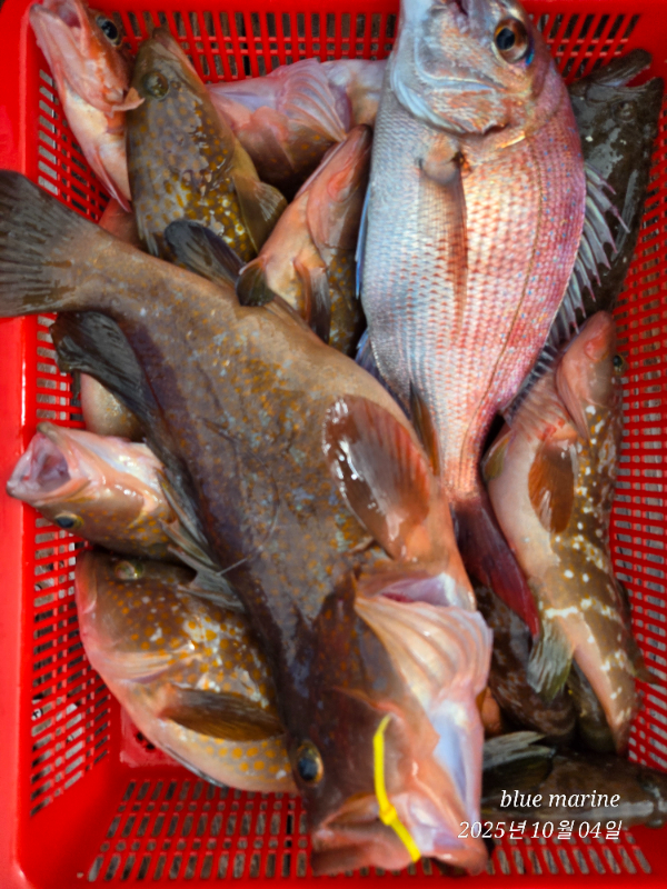
10월4일 조황 빠르게~빠르게~~

오늘 바다가 미쳤어요ㅋ
붉바리가 너무 많이 나와도 문제네요ㅋ

오늘오신 회원님들 모두들 선방하고 철수합니다~^^

말이 필요없는 하루였슴돠~~ㅋ
매일 이런날만 오기를~~

오늘 아빠따라 낚시온 꼬마 조사님도 엄청난걸 잡아내네요^^(귀여워요♡)

사진이 쫌 많아요^^
내일도 다잡아 외수질 출조합니다
10월5일 일요일 현재13분예약중 이시네요~~
손맛보시고 조상님께올릴 제수고기 잡으러 오세용
~~~^^



1000051473.jpg


1000051472.jpg


1000051474.jpg


1000051471.jpg


1000051470.jpg


1000051475.jpg


1000051468.jpg


1000051469.jpg


1000051467.jpg


1000051466.jpg


1000051465.jpg


1000051458.jpg


1000051457.jpg


1000051456.jpg


1000051459.jpg


1000051450.jpg


1000051455.jpg


1000051452.jpg


1000051451.jpg

 
#블루마린호 



*** 강진 마량항 블루마린호 예약 안내 ***


예약문의 : 010-9622-7777

오시는길 : 전남 강진군 마량면 미항로 171 마량방파제

홈페이지 : http://bluemarine.sunsang24.com/


모바일.jpg


20231203_092753.jpg


20231203_092859.jpg

 

Top